
Cancro Ou Câncer Bacteriano
Pseudomonas Syringae
Patógeno:
Type:
Frutales de pepita
Bactéria
Risco:
ALTO

Cancros

QUEM O CAUSA?
Pseudomonas syringae é uma bactéria fitopatogênica que afeta uma grande variedade de plantas, incluindo pomóideas. Esta bactéria sobrevive no solo, em restos de plantas e na superfície das plantas como epífita. Quando as condições ambientais são favoráveis, especialmente em climas úmidos e frios, a bactéria entra nas plantas através de feridas, estômatos e lenticelas. Uma vez dentro do hospedeiro, Pseudomonas syringae se multiplica nos espaços intercelulares e produz enzimas e toxinas que degradam as paredes celulares e causam necrose tecidual. A bactéria pode formar biofilmes que lhe permitem resistir a condições adversas e proteger-se de tratamentos químicos. Durante as estações frias, as bactérias entram em estado de dormência, reativando-se com a chegada de temperaturas mais favoráveis.
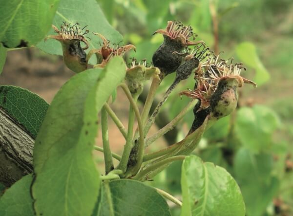
SINTOMAS
O câncer bacteriano causado por Pseudomonas syringae em pomóideas é uma doença devastadora que afeta principalmente os galhos, troncos e, em casos graves, os frutos. A infecção geralmente começa no outono ou na primavera, quando as temperaturas são baixas e a umidade é alta. Os sintomas desta doença aparecem inicialmente como pequenas manchas escuras e úmidas na casca, que se expandem e racham, formando cancro. As partes afetadas da árvore podem exalar um fluido bacteriano viscoso, especialmente em condições de alta umidade.
- Aparecimento de manchas necróticas na casca
- Formação de cancro em galhos e tronco
- Exsudação de seiva bacteriana viscosa
- Morte de ramo
- Desfolha prematura
- Diminuição da floração e frutificação
- Murchamento das folhas
- Necrose de botões e novos brotos
- Perda do vigor geral da planta
- Eventual morte da árvore em infecções graves

TEMPERATURA E HUMIDADE
10-25°C
80-100%
ROTAS DE TRANSMISSÃO
Chuva, vento, ferramentas contaminadas, insetos vetores, água de irrigação, restos de plantas infectadas
Confira os tratamentos recomendados
TRATAMENTOS
Tratamentos químicos
• FOSETIL-AL 80% [WP] P/P
• OXICLORETO DE COBRE 14% (exp. em Cu) + HIDRÓXIDO DE CÚPRICO 14% (exp. em Cu) [WG] P/P
• OXICLORETO DE COBRE 25% (EXPR. EM CU) [WG] P/P
• OXICLORETO DE COBRE 35% (exp. em Cu) [WG] P/P
• OXICLORETO DE COBRE 50% (EXPR. EM CU) [WP] P/P
• SULFATO CUPROCALCICO 20% (EXPR. EM CU) [WP] P/P
Tratamentos autorizados na agricultura biológica
• OXICLORETO DE COBRE 14% (exp. em Cu) + HIDRÓXIDO DE CÚPRICO 14% (exp. em Cu) [WG] P/P
• OXICLORETO DE COBRE 25% (EXPR. EM CU) [WG] P/P
• OXICLORETO DE COBRE 35% (exp. em Cu) [WG] P/P
• OXICLORETO DE COBRE 50% (EXPR. EM CU) [WP] P/P
• SULFATO CUPROCALCICO 20% (EXPR. EM CU) [WP] P/P
Tratamentos biológicos
-
Recomendações
- Realizar podas sanitárias, eliminando as partes afetadas e queimando os restos.
- Evite criar feridas na árvore durante podas e outras atividades de manejo.
- Desinfete as ferramentas de poda e corte com soluções antibacterianas.
- Manter boa ventilação e espaçamento adequado entre as árvores para reduzir a umidade ambiente.
- Aplicar tratamentos com bactericidas específicos nos momentos de maior risco.
- Evite a irrigação por aspersão, optando por sistemas de irrigação que não molhem a folhagem.
- Controlar populações de insetos vetores que possam facilitar a entrada da bactéria.
- Implementar programas de gestão integrada que incluam práticas culturais, biológicas e químicas.
- Utilize variedades de pomóideas que apresentem resistência a Pseudomonas syringae.
- Monitore regularmente as árvores para detecção precoce de sintomas e aja imediatamente.
Link Patrocinado





