
Cochinillas
Cochenilles : ce qu'elles sont, d'où viennent-elles et comment les éliminer efficacement ?
Cochenilles
Pathogène :
Cochenilles
Insecte
Type :
Risque pour la plante :
BÉNIN



DESCRIPTION
QUI EN EST LA CAUSE ?
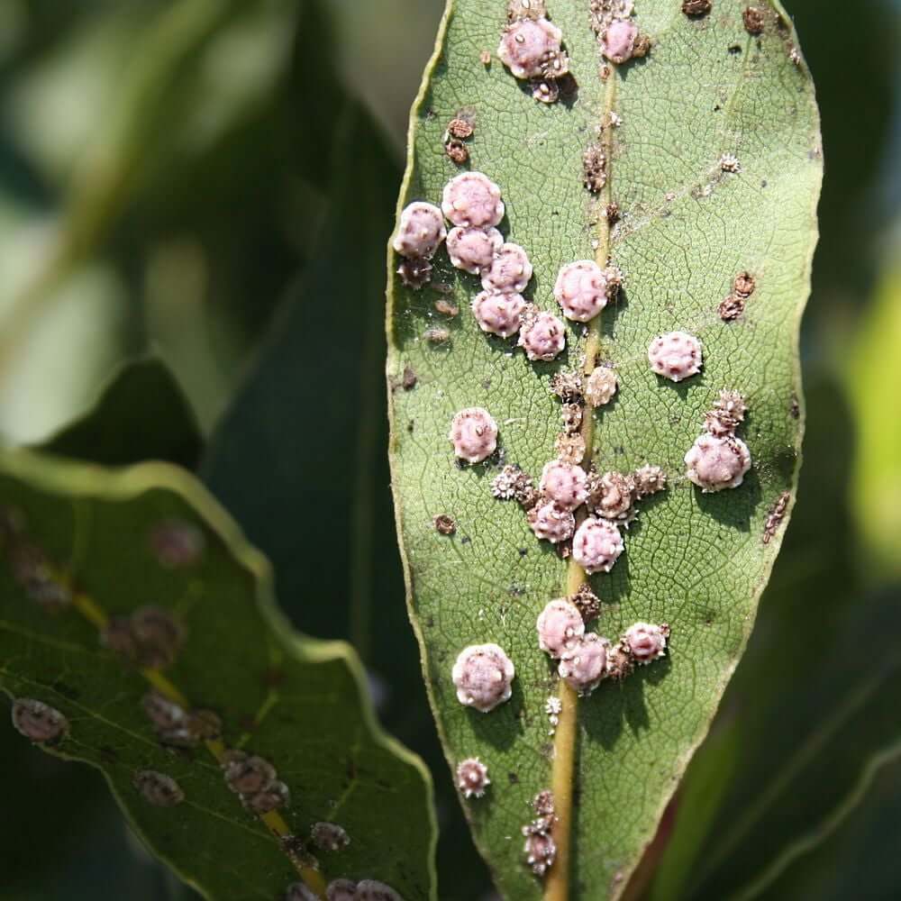
Les cochenilles sont de minuscules insectes qui se nourrissent de la sève des plantes et appartiennent à la famille des Coccoidea. Ces insectes se couvrent généralement d'une couche cireuse qui les protège des prédateurs et de l'environnement. Les cochenilles peuvent causer des dommages importants aux plantes ornementales et de jardin en les affaiblissant et en les rendant plus sensibles à d'autres maladies. De plus, leurs excréments sucrés peuvent favoriser la croissance de champignons de fumagine, ce qui peut affecter l’apparence esthétique des plantes.
SYMPTÔMES
La maladie provoquée par les cochenilles des plantes ornementales et de jardin se manifeste par la présence d'insectes attachés aux tiges, aux feuilles et aux pousses des plantes. Ces insectes peuvent varier en couleur et en taille selon les espèces, mais sont généralement visibles à l'œil nu. Les symptômes comprennent un affaiblissement de la plante, le jaunissement et le flétrissement des feuilles, la production de miellat (excréments de sucre) et la présence de champignons fuligineux à la surface des plantes.


TEMPÉRATURE ET HUMIDITÉ
20°C - 30°C
60% - 80%

COMMENT SE PROPAGE-T-IL ?
Contact direct avec les végétaux, transport de matériel végétal.

COMMENT L'ENLEVER ?
Remèdes maison
Il n'y a pas de soins à domicile
Traitements chimiques
• ABAMECTINE 0,0015% + PYRETHRINES 0,02% [AL] P/V
• HUILE DE COLZA 0,825% + PYRETHRINES 0,018% [AL] P/V
• HUILE DE COLZA 1,53% [AL] P/V
• HUILE DE COLZA 1,69% ( ) [AL] P/V
• HUILE DE COLZA 77,7% [CE] P/V
• HUILE DE COLZA 848,24 g/l [CE] P/V
• HUILE D'ORANGE 60g/L [ME] P/S
• HUILE DE PARAFFINE (CAS [97862-82-3]) 40 % [EW] P/V
• HUILE DE PARAFFINE (CAS [97862-82-3]) 80% [EC] P/V
• ACÉTAMIPRID 0,005 % [AL] P/V
• ACÉTAMIPRID 20 % [SG] P/P
• ACÉTAMIPRID 20 % [SP] P/P
• AZADIRACTINE 1 % (SOUS FORME AZADIRACTINE A) [EC] P/V
• Azadirachtine 2,6 % (SOUS FORME AZADIRACTIN A) [EC] P/V
• CYPERMÉTHRINE 5 % [EC] P/V
• CYPERMÉTHRINE 50 % [EC] P/V
• DELTAMÉTHRINE 1,57 % [SC] P/V
• DELTAMÉTHRINE 2,5 % [EC] P/V
• FLUPIRADIFURONE 0,008 % [AL] P/V
• LAMBDA CYHALOTHRINE 5 % [EG] P/P
• PYRIPROXIFÈNE 10 % [EC] P/V
• SELS DE POTASSIUM D'ACIDES GRAS INSATURES C7-C18 & C18 (CAS [67701-09-1] 515g/L [SL] P/V
• SELS DE POTASSIUM D'ACIDES GRAS INSATURES C7-C18 & C18 10,2g/L [AL] P/V
• SELS DE POTASSIUM D'ACIDES GRAS C14-C20 48% [EW] P/V
• SELS DE POTASSIUM D'ACIDES GRAS VÉGÉTAUX 13,04% [SL] P/V
• SPIROMÉSIFÈNE 24 % [SC] P/V
• TAU-FLUVALINATE 24 % [EW] P/V
Traitements autorisés en agriculture biologique
• HUILE DE COLZA 0,825% + PYRETHRINES 0,018% [AL] P/V
• HUILE DE COLZA 1,53% [AL] P/V
• HUILE DE COLZA 1,69% ( ) [AL] P/V
• HUILE DE COLZA 77,7% [CE] P/V
• HUILE DE COLZA 848,24 g/l [CE] P/V
• HUILE D'ORANGE 60g/L [ME] P/S
• HUILE DE PARAFFINE (CAS [97862-82-3]) 40 % [EW] P/V
• HUILE DE PARAFFINE (CAS [97862-82-3]) 80% [EC] P/V
• AZADIRACTINE 1 % (SOUS FORME AZADIRACTINE A) [EC] P/V
• Azadirachtine 2,6 % (SOUS FORME AZADIRACTIN A) [EC] P/V
• LAMBDA CYHALOTHRINE 5 % [EG] P/P
• SELS DE POTASSIUM D'ACIDES GRAS INSATURES C7-C18 & C18 (CAS [67701-09-1] 515g/L [SL] P/V
• SELS DE POTASSIUM D'ACIDES GRAS INSATURES C7-C18 & C18 10,2g/L [AL] P/V
• SELS DE POTASSIUM D'ACIDES GRAS C14-C20 48% [EW] P/V
• SELS DE POTASSIUM D'ACIDES GRAS VÉGÉTAUX 13,04% [SL] P/V
Insectes alliés
ACARIENS PRÉDATEURS
COCCINELLES
CHRYSOPES
GUÊPES PARASITES
LES SYRPHES OU MOUCHES PARASITES
BOGUES PRÉDATEURS
Il n'y a pas d'alliés naturels
Mycodiplosis oidii (moustique prédateur)






















