
Trips
Thrips : ce qu'ils sont, d'où viennent-ils et comment les éliminer efficacement ?
Les Thrips
Pathogène :
Les Thrips
Insecte
Type :
Risque pour la plante :
HAUT



DESCRIPTION
QUI EN EST LA CAUSE ?
Les thrips sont de petits insectes appartenant à l'ordre des Thysanoptera et plusieurs espèces peuvent agir comme pathogènes sur diverses plantes. Les thrips passent par plusieurs étapes dans leur développement : œuf, larve, pupe et adulte. Les femelles pondent leurs œufs dans les tissus végétaux, ce qui protège les embryons. Les larves sortent des œufs et commencent à se nourrir de la plante, causant des dégâts directs. Après avoir effectué plusieurs mues, les larves entrent dans la phase nymphale, généralement dans le sol ou dans la matière végétale en décomposition. Finalement, les adultes émergent et peuvent se reproduire rapidement, surtout dans des conditions chaudes. Les thrips sont mobiles et peuvent voler ou être transportés par le vent, ce qui facilite leur dispersion vers de nouvelles plantes hôtes. Ces insectes sont capables de causer des dégâts à la fois par alimentation directe et par transmission de virus phytopathogènes.
SYMPTÔMES
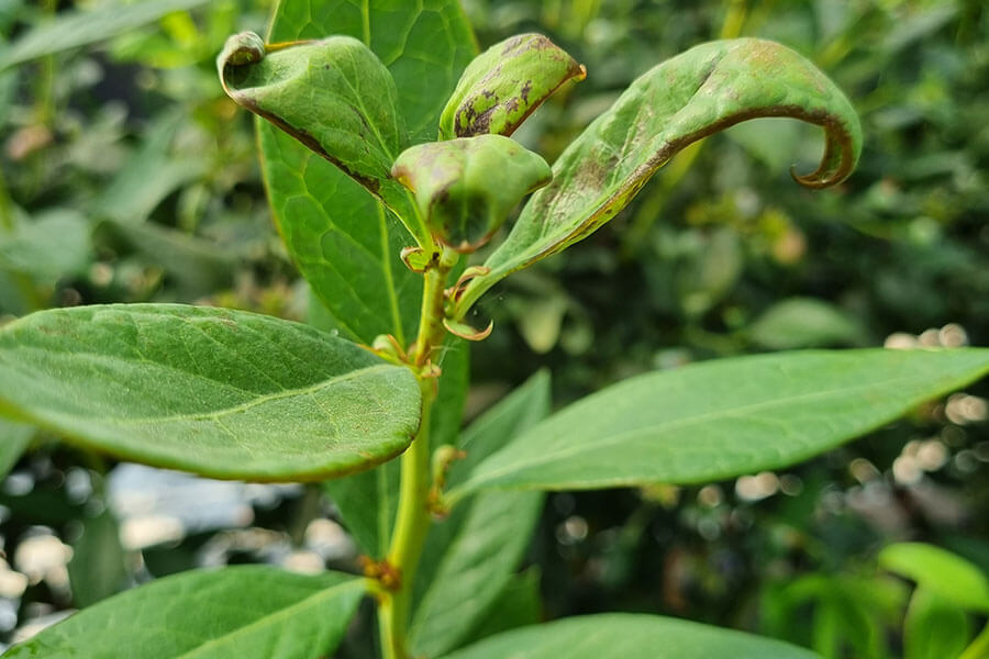
La présence de thrips dans les myrtilles provoque une maladie caractérisée par des dommages visibles sur les feuilles, les fleurs et les fruits. Les thrips se nourrissent en grattant la surface des tissus végétaux et en aspirant le contenu cellulaire, ce qui entraîne l'apparition de taches argentées ou décolorées sur les zones touchées. Cela peut entraîner une réduction de la photosynthèse et donc de la vigueur globale des plantes. De plus, les thrips peuvent transmettre des virus, aggravant encore l’impact de l’infestation.
- Taches argentées ou décolorées sur les feuilles.
- Déformation des feuilles et des jeunes pousses.
- Réduction de la croissance et de la vigueur des plantes.
- Cicatrices et déformations des fruits.
- Chute prématurée des fleurs et des fruits.
- Transmission potentielle de virus phytopathogènes.




TEMPÉRATURE ET HUMIDITÉ
20°C - 30°C
60% - 80%

COMMENT SE PROPAGE-T-IL ?
Vent, Contact avec des plantes infestées, Outils agricoles contaminés, Transport de plantes ou fruits infectés

COMMENT L'ENLEVER ?
Remèdes maison
Il n'y a pas de soins à domicile
Traitements chimiques
• HUILE D'ORANGE 6% [SL] P/V
• HUILE D'ORANGE 60g/L [ME] P/S
• HUILE D'ORANGE 60g/L [ME] P/S
• HUILE D'ORANGE 60g/L [ME] P/S
• HUILE DE PARAFFINE (CAS [8042-47-5]) 54,6 % [EW] P/V
• AZADIRACTINE 1 % (SOUS FORME AZADIRACTINE A) [EC] P/V
• AZADIRACTINE 1 % (SOUS FORME AZADIRACTINE A) [EC] P/V
• Azadirachtine 2,6 % (SOUS FORME AZADIRACTIN A) [EC] P/V
• Azadirachtine 2,6 % (SOUS FORME AZADIRACTIN A) [EC] P/V
• Azadirachtine 2,6 % (SOUS FORME AZADIRACTIN A) [EC] P/V
• Azadirachtine 2,6 % (SOUS FORME AZADIRACTIN A) [EC] P/V
• Azadirachtine 2,6 % (SOUS FORME AZADIRACTIN A) [EC] P/V
• Azadirachtine 2,6 % (SOUS FORME AZADIRACTIN A) [EC] P/V
• Azadirachtine 2,6 % (SOUS FORME AZADIRACTIN A) [EC] P/V
• Azadirachtine 2,6 % (SOUS FORME AZADIRACTIN A) [EC] P/V
• Azadirachtine 2,6 % (SOUS FORME AZADIRACTIN A) [EC] P/V
• FORMÉTANATE 50 % [SP] P/P
• SELS DE POTASSIUM D'ACIDES GRAS C14-C20 48% [EW] P/V
• SELS DE POTASSIUM D'ACIDES GRAS C14-C20 48% [EW] P/V
• SPINETORAM 2,5% [SC] P/V
• SPINETORAM 2,5% [SC] P/V
• SPIROTETRAMAT 10 % [SC] P/V
• PIÈGE CHROMATIQUE
• PIÈGE ADHÉSIF
Traitements autorisés en agriculture biologique
• HUILE D'ORANGE 6% [SL] P/V
• HUILE D'ORANGE 60g/L [ME] P/S
• HUILE D'ORANGE 60g/L [ME] P/S
• HUILE D'ORANGE 60g/L [ME] P/S
• HUILE DE PARAFFINE (CAS [8042-47-5]) 54,6 % [EW] P/V
• AZADIRACTINE 1 % (SOUS FORME AZADIRACTINE A) [EC] P/V
• AZADIRACTINE 1 % (SOUS FORME AZADIRACTINE A) [EC] P/V
• Azadirachtine 2,6 % (SOUS FORME AZADIRACTIN A) [EC] P/V
• Azadirachtine 2,6 % (SOUS FORME AZADIRACTIN A) [EC] P/V
• Azadirachtine 2,6 % (SOUS FORME AZADIRACTIN A) [EC] P/V
• Azadirachtine 2,6 % (SOUS FORME AZADIRACTIN A) [EC] P/V
• Azadirachtine 2,6 % (SOUS FORME AZADIRACTIN A) [EC] P/V
• Azadirachtine 2,6 % (SOUS FORME AZADIRACTIN A) [EC] P/V
• Azadirachtine 2,6 % (SOUS FORME AZADIRACTIN A) [EC] P/V
• Azadirachtine 2,6 % (SOUS FORME AZADIRACTIN A) [EC] P/V
• Azadirachtine 2,6 % (SOUS FORME AZADIRACTIN A) [EC] P/V
• SELS DE POTASSIUM D'ACIDES GRAS C14-C20 48% [EW] P/V
• SELS DE POTASSIUM D'ACIDES GRAS C14-C20 48% [EW] P/V
• PIÈGE CHROMATIQUE
• PIÈGE ADHÉSIF
Insectes alliés
ACARIENS PRÉDATEURS
COCCINELLES
CHRYSOPES
GUÊPES PARASITES
LES SYRPHES OU MOUCHES PARASITES
BOGUES PRÉDATEURS
Il n'y a pas d'alliés naturels
Mycodiplosis oidii (moustique prédateur)






















