
Bacteriosis
Apio
Tizón bacteriano
Bacteria
Tipo:
ALTO
Riesgo para la planta:
Pseudomonas apii
Patógeno:

¿QUIÉN LO CAUSA?
Pseudomonas apii es una bacteria fitopatógena que causa el tizón bacteriano en el apio. Esta bacteria puede sobrevivir en restos de plantas infectadas y en el suelo, así como en semillas contaminadas. Durante condiciones favorables, como alta humedad y temperaturas moderadas, las bacterias se multiplican rápidamente. Se diseminan por el viento, la lluvia y las salpicaduras de agua, infectando a las plantas a través de heridas o estomas en las hojas. Una vez dentro de la planta, Pseudomonas apii coloniza el tejido intercelular, produciendo toxinas y enzimas que descomponen las paredes celulares, facilitando la propagación de la infección. Esta bacteria puede formar biopelículas protectoras que le permiten resistir condiciones adversas y tratamientos químicos, complicando su manejo y erradicación.
SÍNTOMAS
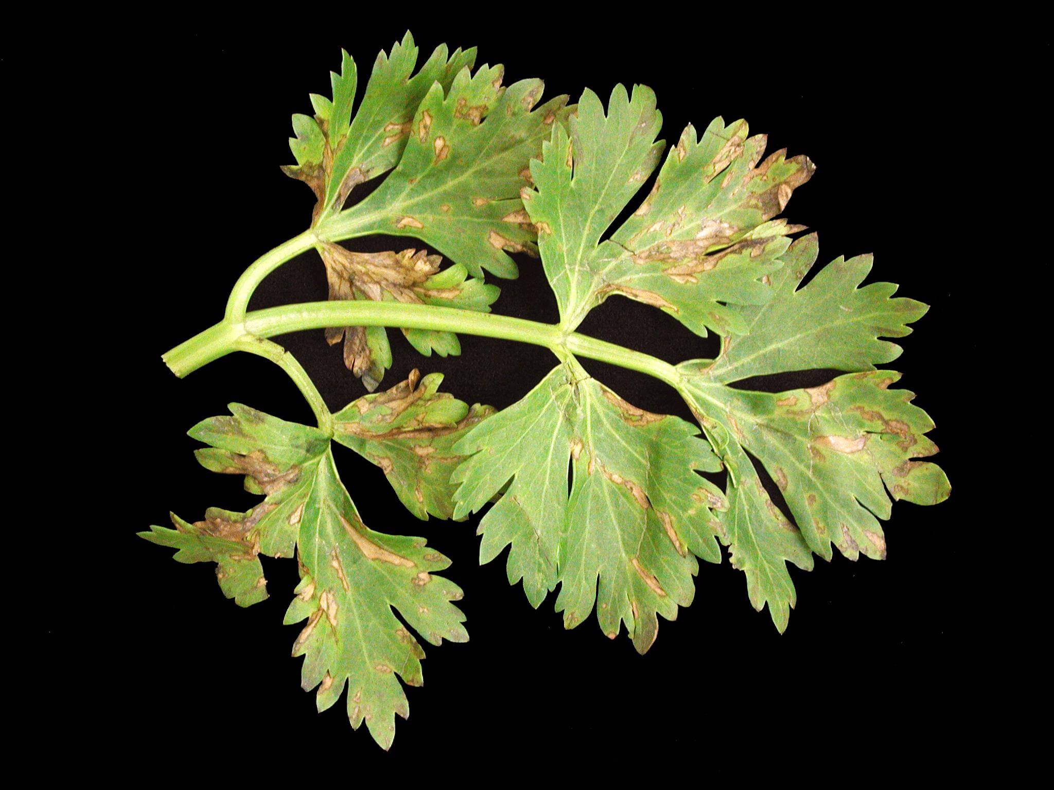
En el apio, Pseudomonas apii provoca el tizón bacteriano, una enfermedad que afecta principalmente las hojas y tallos, reduciendo la calidad y el rendimiento del cultivo. Los primeros síntomas incluyen pequeñas manchas acuosas que se expanden y se vuelven marrones, acompañadas de un halo amarillento. Estas manchas pueden coalescer, llevando a una necrosis extensa y una desecación de las hojas.
- Manchas acuosas que se expanden
- Coloración marrón de las manchas con halo amarillento
- Coalescencia de manchas y necrosis extensa
- Desecación de las hojas
- Decoloración y lesiones en los tallos


CONDICIONES DE DESARROLLO
Temperatura:
18-30°C
Humedad:
80-95%
¿CÓMO SE CONTAGIA?
Esporas aéreas, agua de riego, restos de plantas infectadas, herramientas contaminadas, semillas infectadas


















