
Plantas decorativas de jardín y/o interior
How to recognize and combat scale and scale on decorative garden and/or indoor plants
Scales and/or Caparretas
Insect
Type:
Risk to the plant:
HIGH
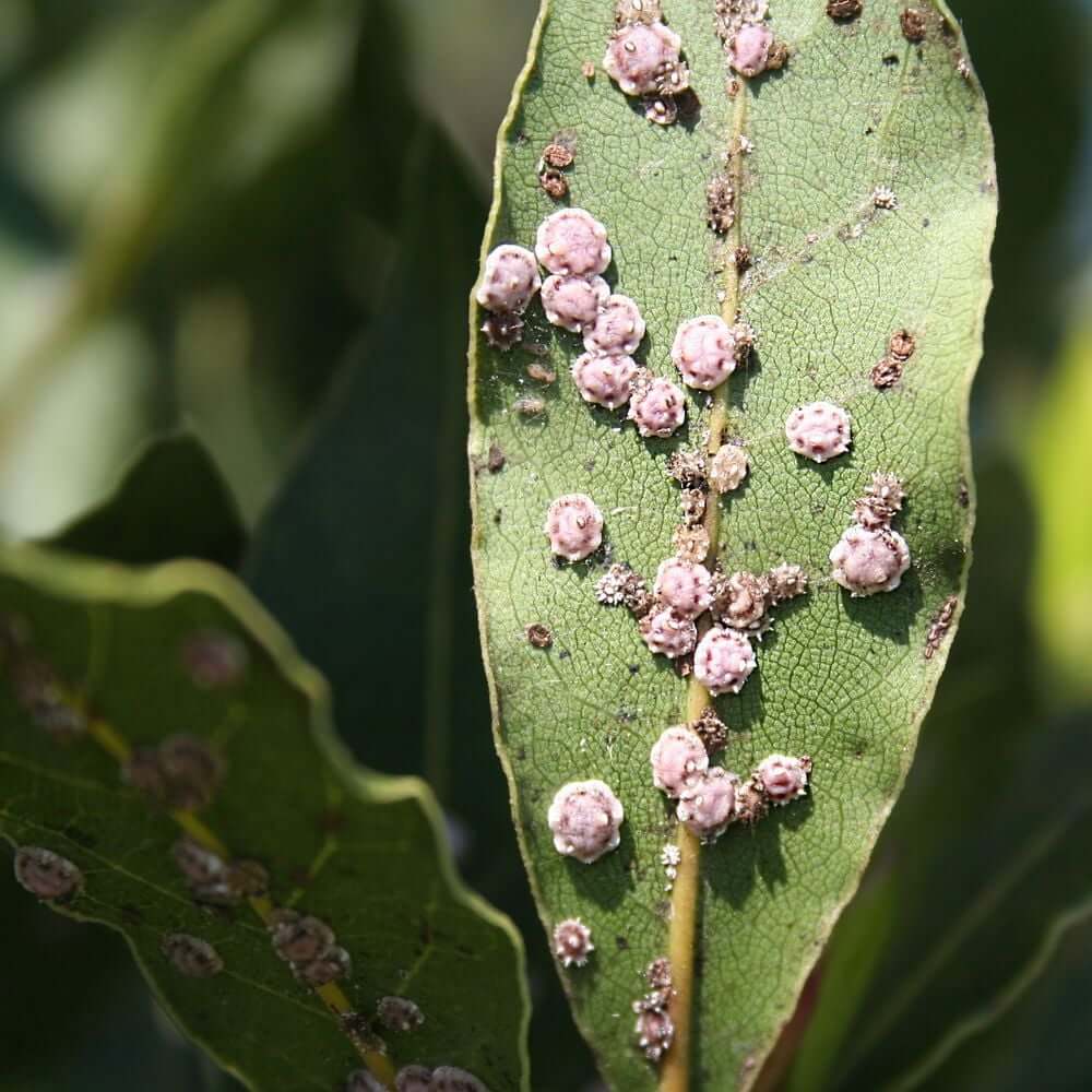
Mealybugs
Pathogen:

Cochinillas
WHO CAUSES IT?
Mealybugs are small, sucking insects that belong to different species within the Pseudococcidae family. They are known for their ability to infest a wide variety of plants, from ornamentals to agricultural crops. Its life cycle includes several stages: egg, nymph and adult. Females lay their eggs in cottony masses that they protect with their waxy body. Nymphs, also known as "crawlers," disperse and look for suitable places to feed. As they grow, they shed their exoskeleton several times before becoming adults. Adult females are generally immobile, while males, which are less common, have wings and seek out females to mate with. Mealybugs feed on plant sap by piercing the tissues and sucking the fluids, which can considerably weaken the plant.
SYMPTOMS
Mealybug infestation in cacti produces a series of symptoms that affect the overall health of the plant. Among the most obvious are the appearance of white cottony masses on the surface of the plant, especially in the folds and protected areas. These insects also secrete a sticky substance known as honeydew, which can promote the growth of fungi such as sooty mold. Mealybugs can cause yellowing and wilting of leaves, general weakening of the plant, and in severe cases, plant death.
- Appearance of white cottony masses.
- Secretion of sticky molasses.
- Growth of fungi such as sooty mold.
- Yellowing of the leaves.
- Withering of the leaves.
- General weakening of the plant.
- Death of the plant in severe cases.


DEVELOPMENT CONDITIONS
Temperature:
20°C a 30°C
Humidity:
60% a 80%
HOW IS IT SPREAD?
Direct contact between plants, Wind, Contaminated tools, Insect vectors, Transport of infested plants, Contaminated soil
HOW TO ELIMINATE IT?
Home treatments
There are no home treatments
Natural allies
Chemical treatments
There are no treatments for this disease. Treatments are directed at the insect vectors that transmit it. See insect treatments.
RECOMMENDED PRODUCTS TO ELIMINATE THE PEST
Sponsored link
Sponsored link
Sponsored link
Sponsored link
Sponsored link
Sponsored link
Sponsored link
Effective against all types of fungi
Sponsored link
Sponsored link
Sponsored link
Sponsored link
Sponsored link
PLANTAS REPELENTES
RECOMMENDATIONS
















































